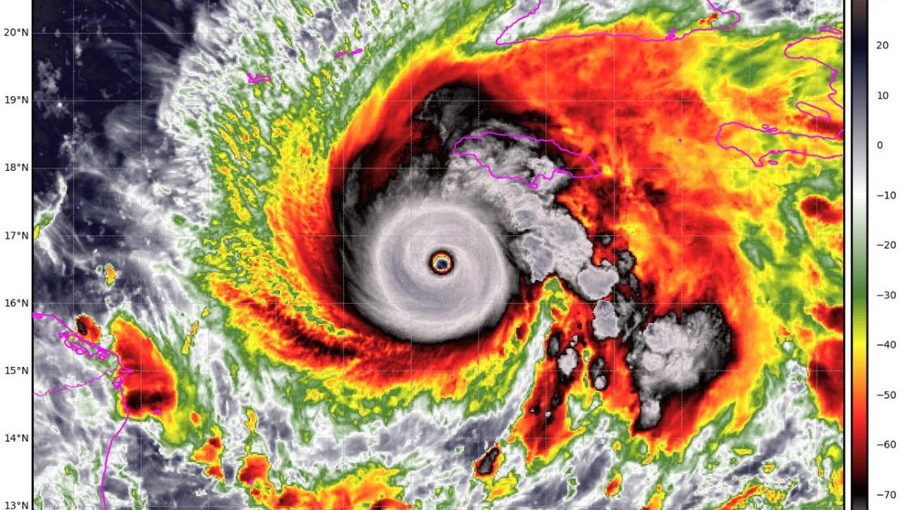
Liputan6.com, Jakarta Hurricane Melissa, predicted to be the world's strongest hurricane of 2025, is now threatening Jamaica after previously causing fatalities in Haiti and the Dominican Republic.
This Category 5 storm is bringing powerful winds of up to 282 km/h and the potential for extreme rainfall that could trigger flash floods and landslides.
Local authorities have issued emergency warnings and ordered large-scale evacuations to protect residents from the threat of this disaster.
Advertisement
On Sunday, October 26, 2025, Hurricane Melissa was approximately 180 km south of Kingston, Jamaica, and was expected to cross the island on Monday night or early Tuesday morning.
The Jamaican government, through Prime Minister Andrew Holness, has requested international assistance and warned of widespread damage to vital infrastructure, agriculture, and settlements.
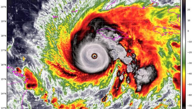
This footage from inside the eye of Category 5 Hurricane Melissa might be the most jaw-dropping video ever captured of a hurricane’s eye, showcasing the infamous “stadium effect." pic.twitter.com/AEhj2g2Ban
— Colin McCarthy (@US_Stormwatch) October 27, 2025
Hurricane Melissa's Category 5 Classification
With the wind speed reaching up to 175 miles, per hour (282 kmph), Hurricane Melissa is set to hit Jamaica as a slow-moving Category 5 storm. Melissa could end up being the largest hurricane on record to hit the Caribbean island. #Watch#HurricaneMelissa #Storm #Jamaica #Cuba… pic.twitter.com/NNfR6BgRM7
— CNBC-TV18 (@CNBCTV18News) October 28, 2025
Hurricane Melissa has strengthened significantly to a Category 5, the highest level on the Saffir-Simpson scale, making it the most powerful hurricane recorded worldwide in 2025.
Its maximum sustained winds reached 282 km/h, with some reports suggesting figures around 270 km/h.
Category 5 is the top of the Saffir-Simpson hurricane scale, with sustained winds exceeding 250 km/h (157 mph).
Melissa would be the strongest hurricane in recorded history to make a direct hit on the small Caribbean nation, said Jonathan Porter, chief meteorologist at AccuWeather.
Hurricane Melissa's strength has the potential to surpass that of Hurricane Gilbert, which struck Jamaica in 1988, a Category 4 hurricane with winds of 210 km/h.
If Melissa maintains its strength, it could become the most powerful hurricane to ever hit Jamaica in the history of the U.S. National Hurricane Center (NHC).
Advertisement
Impacts in the Caribbean
Hurricane Melissa is moving slowly northwest at only 6 km/h, a characteristic that increases the risk of long-term damage.
As of Monday evening, October 27, 2025, the storm was approximately 233 kilometers southwest of the capital, Kingston, Jamaica.
Before reaching Jamaica, Hurricane Melissa had already caused serious impacts in other regions.
Four deaths were reported in Haiti and the Dominican Republic as a result of the storm.
In Haiti, hundreds of homes were flooded, while in the Dominican Republic, a 79-year-old man was swept away by floodwaters and a 13-year-old child remains missing.
The NHC forecast indicates that after crossing Jamaica on Monday night or early Tuesday morning, Melissa will move across eastern Cuba the following night.
It is then expected to head towards the Bahamas and the Turks and Caicos Islands on Wednesday. This trajectory places several Caribbean countries and territories in its direct path.
Impacts and Preparedness in Jamaica
Jamaica faces the threat of severe winds, flash flooding, and life-threatening storm surges.
Extreme rainfall of up to 100 cm (40 inches) is expected to fall in parts of Jamaica over the next four days.
Jamaica's soil is already saturated after rains throughout October, dramatically increasing the risk of major flooding and landslides in mountainous areas.
In response to this threat, the Jamaican government has ordered the immediate evacuation of vulnerable communities across the island, including parts of the capital, Kingston.
A total of 881 shelters have been prepared across the country.
Prime Minister Andrew Holness has publicly appealed for foreign support and warned of severe damage to farmland, homes, and critical infrastructure such as bridges, roads, ports, and airports.
Advertisement
:strip_icc()/kly-media-production/avatars/3882201/original/089958900_1753245613-Softcopy_of_photograph.jpeg)
:strip_icc()/kly-media-production/medias/5394397/original/039359300_1761631547-hurricane-melissa-jamaica.jpg)
:strip_icc()/kly-media-production/medias/5394260/original/005553800_1761630148-hugh-jackman-sutton-foster.jpg)
:strip_icc()/kly-media-production/medias/5394378/original/052270300_1761631105-dada_design-YmtlGsmTcgk-unsplash.jpg)
:strip_icc()/kly-media-production/medias/5394228/original/044334100_1761628887-us-navy-aircraft-south-china-sea.jpg)
:strip_icc()/kly-media-production/medias/5394211/original/008519200_1761628030-pexels-andre-furtado-43594-2916820__2_.jpg)
:strip_icc()/kly-media-production/medias/5394145/original/041375600_1761627317-G4SwJ8gWoAA_scX.jpg)
:strip_icc()/kly-media-production/medias/1263571/original/041516800_1465882227-ringu_1.jpg)
:strip_icc()/kly-media-production/medias/5394111/original/045805200_1761625728-cody-franke-golf-death.jpg)
:strip_icc()/kly-media-production/medias/5393864/original/060308800_1761618472-jack-shingai-hdhWH1xoYwM-unsplash.jpg)
:strip_icc()/kly-media-production/medias/5393459/original/004732000_1761555291-emote-67-clash-royale.jpg)
:strip_icc()/kly-media-production/medias/5393425/original/035245000_1761553778-uma-chetry-cricket.jpg)
:strip_icc()/kly-media-production/medias/5393386/original/000843500_1761552832-mayor-of-kingstown-season-4.jpg)
:strip_icc()/kly-media-production/medias/5393260/original/096081800_1761548324-lando-norris-f1.jpg)